“We’re just two lost souls swimming in a fish bowl.”
Wish You Were Here
Pink Floyd
The advert
“Become a certified diver and receive a permanent license to dive unsupervised to a maximum depth of 18 meters, valid worldwide for the rest of your life.”
There we go. Qualified. Three days of intensity. Done. Time for Bintang and a download. We’re now PADI certified divers. What an experience.

Izzy, Ash, Col, Floor and me just after our exams.
We are absolutely shattered. Wiped out. We’ve closed the blinds on our hotel room. The AC is on. We’re hydrating and we’re aching. How those instructors do it 12 days on and 2 days off we’ve no idea. It’s so demanding on every part of your being. Collette sleeps and I watch shit films on Indonesian TV with coconut water. Rest. Thank you.
Day 1
We under-estimate how long it takes to get across the dusty, hot, chicken-scurrying back-alleys of Gili Trawangan with our back-packs. We’re late. Ash isn’t nasty but we can tell he’s pissed. And we’re guilty. After the long-winded training videos he hooks back up with us and explains that lateness is his bug-bear. Now we’re late. And twats. Thanks Ash.
He’s cool. In fact, all of the dive instructors are cool. If you’re a dive instructor at Trawangan Dive, you obviously have to pass some type of cool test. You’ve got to have shades and tattoos. You’ve got to be good-looking and have hashtagbants. Optional reverse-cap. They poke each other as they walk past and flirt. They make arrangements to see each other. Later. With innuendos to boot. Going down. Put your mouth around this. Blow here. I’m all wet. They’re not just cool, they all have sex with each other. And they want you to know it. In a dive-school of cool and sexy dive instructors, Ash is the coolest and he has the most sex.
“I didn’t realise it would be a load of kids doing it with each other.’ Says Collette, ‘I thought it would be serious.’
Ash leaves us with a bunch of videos to watch by the pool. There’s so much to learn. It’s mind-blowing. How will this all stick? I don’t learn like this. Some droning American with instruction after instruction. It feels like I’m starting a job as a burger-flipper at McDonalds. I’m not really a process type of guy. Collette’s dying. As we were late we’ve missed introductions too. We’re just sat in a booth next the pool with a group of people we don’t know and no one’s talking. Usually, I’d be making some wise-cracks but, being late, I don’t feel it’s right. Let’s just get through to lunch.
Over some grub, we finally talk to the guys we’re doing the course with. Tom is an average-sort-of-sized, handsome-ish, dark-haired, recent graduate from Peterborough. He’s taking few months out with a couple of friends after uni and starts work with Accenture in January as a trainee business analyst. He’s very reserved, steady, sensible and calculated for a twenty one year old.
Floor (which, internally, I immediately consider to be an unfortunate name for someone taking a dive course) is from Maastricht in the Netherlands. She studies International Business in Singapore. She is incredibly focused on the dive course. Again, she’s twenty-one, with the temperament of someone much older.
Mark is a regional sales-person for Bentley cars in Cambridge. He’s thirty-nine. He’s got thinning ginger hair and his larger, pale body looks like it’s enjoyed a few Ginsters on the road between clients and few hotel, English breakfasts. He looks a bit gin-weary from the night before. We immediately connect.
There’s a dive after lunch. God, this is terrifying. We’ve watched a few videos amongst the sex-people, now we’re expected to be going under water. Twelve metres. Bloody nora.
My mind goes back to my teens in the Balearics. It’s a lad’s holiday and we’re out on a pedalo. I jump off and look under the water with a mask. I get a shock. What? There’s no floor. Everything fades to deep, distant blue. It’s the same in all directions. It’s so vast. So unknown. I’m alien here. Like vertigo I freak out. Panic. I flap back to the pedalo,
‘Take me to shore. Now’. I’ve not been to the big blue since. Will it happen again?
We’re rushed out on a boat. Everyone seems to know exactly what they’re doing apart from us. The preparations seem a bit like a party-boat on stag do. Our names are called out. A pre-dive register. We head to a dive site called Sunset Reef.

Boat ride out to the dive spot.

Pre-dive apprehension on the boat.
We kit up and position to roll backwards from the side of the boat, like they do in spy films. I’m not even sure what all this kit is. I’m wearing seven kilos of weights on a belt around my waist. What if I panic like I did in Mallorca?
We’re in. We inflate. We bob around. It’s unnatural. Everyone seems to know what they’re doing. I don’t really comprehend. My brain is trying to piece together unfamiliar information all around me. I’m confused. People make hand-signals and I copy them but I don’t really digest it. My mind isn’t working properly. I should spend more time composing myself. Relax. I know it. Silly Pete.
We’re paired up with instructor, Izzy. I’ve trained with Ash thus far. I know him. I don’t know, Izzy. Does she know all the things Ash knows? Is she as skilful? Ash can save me. Can she? I don’t know.
We press to deflate. I’m not prepared. We descend. Head below water. The rippling, silvery surface moves further and further out of reach above my head. My life’s up there. My place of safety. I know how to be up there. I’m incompetent down here. I’m covered. Surrounded. Buried. I’m too deep to reach the top. If I have a problem I can’t get there. I’ve a tube in my mouth. A face mask. All I can hear is the amplification of my mechanical breath and the bubbles. I’m breathing heavier. I can hear every nuance of the inhalation. The regulator seems to steal my last bit of breath every time. I can’t get enough. What is all this equipment? Is it working? I don’t know how to check. My heart beats furiosly. I can’t think straight. The way to escape becomes further and further from reach. I’ve got to go up.
Izzy realizes my distress. She faces me. Eye contact. Her eyes don’t ground me like Ash’s. I don’t know her yet. She hand signals for me to relax. But when has telling someone to relax ever had the desired effect? I signal I need to go up. Her eyes soften. I know I should be ok but I’m not. I have to go up. She takes me up.
On the surface I inflate my BCD and I take off my mask and regulator. I bob on the surface. I’ve got my old life back again. I’m disappointed I fucked up but I can breath. I can relax. All those feelings of claustrophobia and loss of control have gone.

Releasing air to descend.
I feel bad for Izzy. She’s training for Ash’s position and I sense that my panic might reflect badly on her abilities. I hope not. Collette and Izzy are with me at the surface. Collette says she’ll come back to the boat with me if I want to go. But I don’t want to spoil everything. I don’t want to ruin it for her. I just need some time.
A few minutes pass and we go down again. Be calm. Breath steadily. Trust the equipment. Trust the information. We can do this.
We dive to twelve metres. It feels much better. Steady. Controlled. The moment on the surface really helped to settle my nerves. At the bottom, we practice flooding our mask with water and losing our breathing regulators. It’s far from a comfortable experience but I do it.
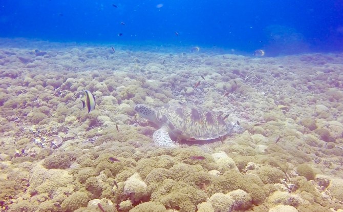
Our first dive is at Sunset Reef on Gili Trawangan. We’re under water for thirty-eight minutes. It goes very quickly. There’s so much to see. Golden batfish. Longfin banner fish. Bullethead parrot fish. Oriental sweetlips. Blue antheas. Hawksbill turtles. Even a banded sea snake. Wonders of the world.

Turtle power.
Completing the dive is exhilarating. Back to the surface. We’re alive. And I didn’t spoil it for everyone. I thank Izzy and Ash. I apologise. They say it happens a lot and not to worry but I feel I want to do better next time.
I set an intention for day 2 to listen, learn, ask, understand, fill the gaps, reduce the unknowns and try to build the structures that will allow me to feel free. Freedom in structure. Freedom in knowledge. It’s maybe something I’ve never done before because it felt so out of reach. Now I have my first dive log and I should have my second after today. Tomorrow, I’ll try and be a better buddy for Collette.
Day 2
Good sleep. Good breakfast. I arrive early with a spring in my step. Ready for day 2. Today will be better. We have an orientation with our equipment. Break it down. Set it up. I feel better already. Just to have a deeper understanding of how it all works. Why it’s safe. I learn how the regulator works. I open and close the valve on the tank. I understand the CBD.
The dive at Halik is exceptional. Dropping backwards off the boat we roll in the sea and we bob. Final checks before we deflate and start to descend from the surface. We follow a coral bank that becomes a wall in to greater darker, blue depths. We are in buddy formation. Ash spots a scorpion fish and he stops.
We immediately see a huge hawksbill turtle. It’s digging it’s beaky nose into a floor coral-bed like some special-case. Part of her house-shell is missing at the rear. These beauties can live to fifty years old so who knows when or how this happened?
White-tip reef shark-oids.
Descending to a ledge we peer beneath. A cave. A red snapper. Then, four sharks circle with pace and precision. Their eyes, their sleek movements, their quick change of direction, their agility. I immediately know I am a novice visitor in a world where different values and skills count. My ability to sell lifts means absolutely fuck all here. I’m intimidated. Respectful. In awe. Careful. I don’t want to spend too much time looking in through the window of their house. What if they get edgy about it? We move on.

Moray eel.
Two metres to my right a black octopus slithers across the banked coral. She knows we’re here. When we spot her she gets nervous. She stops moving. She transforms before our eyes, from black into a stony, patterned beige and brown replica of the coral she’s atop.
We move on and carry out some training routines at depth. We hover. Sounds easy. But with each breath drastically affecting your buoyancy it’s a real meditation. A skill. I’m not doing too well. It doesn’t help having such a big torso and lungs. It’s even worse when you’re in a state of over-stimulation. My large breaths in send me shooting upwards. My breaths out send me dropping down. It’s about control and I’m a bit erratic. Not erotic like the sex people. Erratic.
My tank hits the coral and I’m fearful to disrupt the sea floor. I could provoke an unwanted defense reaction from any number of stinging beasts. Out of respect I also don’t want to destroy any creatures home. I start flapping to escape from the coral wall. Bad skills, Pete. I breath in deeply, causing me to lift. As I inhale, Tom and Collette move below me and simultaneously release air from their CBD’s. Their rising air surrounds me, lifting me further. I also enter an up-current by the coral wall. I’m ascending. Everything happens so fast. I’m travelling up too quick.
Ash hand-signals but in my immediate stress I forget the meaning. I’m going up. I cant stop it. It’s not safe. As I rise, the remaining air in my CBD starts to expand with the pressure decrease. Faster. Fuck. I can’t stop. I’m gonna get the fucking bends, man. Then I’m grabbed from behind. It must be Izzy. She pulls my regulator from my mouth. I have no air. I don’t understand. I know that more panic will only exaggerate the problem I’m in so I force myself to relax. She grounds me. She makes eye contact. Breath out, she signals. I conform and she pulls me back down. My ears are popping. I equalise. I hold my nose and pressure through my ears. She pulls me down. She re-inserts the regulator. Phew.
Soon after, my air is short. I’m down to 60 psi. My reserve is 50. I have 10 left. That’s maybe 3-5 minutes max before I have to be on the surface. But we also have to ascend with a five-minute safety stop. I make Collette aware. A horizontal hand signal left to right, cutting across my neck, shoulder to shoulder. She checks my gauge. Fuck. We both in turn make Ash aware. He signals me towards him and he offers me his alternate air supply. It’s fucking amazing. This guy just saved my life in a new world. He hooks my hand under his CBD and tells me to stay there. Luckily, he’s like a zen, sub-aqua, man-fish. He hardly breaths. He’s got like a gazillion psi left. I’m safe.

Humans.
Preparing the ascent ten minutes later, Ash puts me back on my own regulator. 50 psi left. I buddy with Col. We simulate an out-of-air scenario. Collette is the victim. We practice working together to save her. She signals she’s out of air. I reach for my alternate air supply and hand it to her over my shoulder. She purges (flushes the mouth-piece with air) and we are one. I look after her now. We link arms and we simulate what it’s like to save her life. We ascend together. At the surface she must orally inflate her CBD. We did it. We bob and wait for the boat.
We slip off our fins and clamber on board. Shattered, we strip off and get on the roof. The sun is beaming down. Warmth. Collette is cold. We re-acclimatise. In the ten minutes back to shore I also manage to get a wanky, patchy sun-burn.
On dry land, if something’s wrong, you all have a chat and work it out. We can all breath. We are comfortable there. All’s well. In the eery, blue depths, the rules are different. Freedoms we take for granted are useless. On your second day diving, when shit happens, you don’t necessarily know what to do and you can’t de-brief straight away. You just have to gather yourself. Re-compose. Calm yourself and try to remember all of the things that you’ve been taught. It’s a real life-lesson. You can’t just be cheeky, charming and forgiven. On land, I realise that I rely too much on others. I prefer to release myself from the burden of rules and regulations where possible. Or at least, I flit and seek in the interstices of the established frameworks. There are certain structures I know and understand, and I play. I don’t take myself to the depths enough. I don’t seek to understand the intricacies. Down there, it’s imperative to.

A shy-ctopus.
We have an examination and there’s a question on DCS (de-compression sickness). Ash makes a point to remind us. ‘Know your limits.’ Though Ash is playful, fun, flirty. Though I have initial reservations about his tattooed, playboy, backwards-cap, shades and fashion-beard persona from the on-set, I learn through the course that he is incredibly knowledgeable. He is serious when being serious is the right thing to be. And I respect him one-hundred percent.
The symptoms of DCS include skin motting, fatigue, itching, rashes, swelling (particularly of the lymph system: so under armpits and in the groin.), muscular-skeletal pain, tingling, muscle weakness, tinnitus, dizziness and nausea. At depth, under pressure, the human body absorbs more nitrogen from the air it breaths. Divers need to manage nitrogen absorption and its subsequent release. The greater the depth, the quicker nitrogen is absorbed. The longer the dive, the more is absorbed. Nitrogen release from the body is managed in stages during ascent. In extreme cases of nitrogen-flooding, where the body comes from depth too quickly without the necessary staging, the body can experience paralysis, cardio-pulmonary issues and in the long-term it can even deteriorate to death.
Ash tells a story. ‘Know your limits.’ He’s serious. He holds court and imparts information that we all need to hear. It’s July 2017. Three months ago. Alizee Guenola Baurin is a beautiful, 25 year-old, fun-loving, tongue-pierced, dancing, French, dive-instructor at a neighbouring dive-school. She’s seen all the things I’ve seen over the last couple of days. She’s Ash’s close friend. She goes out at night. She drinks. She stays out ‘til 5am. The next day she has a deep dive. She has two. She suffers from symptoms of DCS on the boat after the second dive. She needs decompression. She is taken to Lombok. The nearest chamber. It’s a half-hour boat ride to the island and there’s a question-mark over the competency of the hospital staff using the equipment. She is pressurised. She has several lengthy, pressure treatments over 18 hours before she dies. It’s absolutely tragic. Ash is obviously upset. Other dive instructors prefer to avoid the subject. I for one, am please to receive the facts and I want to stay within my limits.
Click the video to watch a beautiful video compilation of Alizee. It brought me and Col to tears.
Day 3
Visual. Release the dust cap from the first stage. Screw the first stage to the aluminium tank. Open the valve. Be careful to position the submersible pressure console away from your face. Connect the low pressure CBD inflator hose. Check pressure. Inflate and deflate the CBD. Check the primary and alternate second stages. This is before equipment gets loaded onto the boat. There’s so much to learn and we’re in charge today.
We complete two dives to eighteen metres at Gili Meno. Morning and afternoon. Just under two hours under water. Bounty Wreck, a sunken pier and Turtle Heaven, an under-sea mountan. Over the two dives we see common lionfish, bluefin trevally, Christmas tree worms, orangutan crabs, spotted boxfish, turtles, cornet fish and clown fish. It’s truly magical. We also complete compass skills, emergency ascents, and complete mask removals.

Blue and yellow happy worm-y thing (if anyone knows what this is please help!)

Camouflage-y fish-y wonders (again, if you can help identify these, please help).
Our final tests are easy with the new information we’ve been bombarded with and we’ve done it. Certfied divers. Now let’s buy Ash and Izzy a Bintang and put our feet up.
My ability to talk, to charm, to navigate, to get away with things, to play, everything changes down there. The established rules and givens that provide a platform for all of the actions in my life are wiped out. I’m no longer tall. Noone can hear me. I can’t strike dance moves or hug anyone or make jokes.
Thanks for reading and thanks to Keane Millington for all the snaps.
Pete
See Trawangan Dive school and hotel on Instagram, here.
Meet our diving pal and underwater GoPro photo hero, Keane here.
We got the water bug snorkelling on Gili Air, here.
Various underwater wonders.

Wow, that sounds amazing and scary, I’m not sure I could do it, I don’t know if I’d progress past day 1
LikeLiked by 1 person
I wasn’t sure I was going to either, buddy. It was a close call.
LikeLike
Awesome words once again Pete, thanks, now I’m late for work 😛
LikeLiked by 1 person
Thans for reading it, Adrian. Can’t wait to make you late for work in July/August after a good session. LOL
LikeLike